Malediven - Fihalhohi Island Resort im Süd Male Atoll

06. bis 18.01.2011
Zurück Home Weiter

 

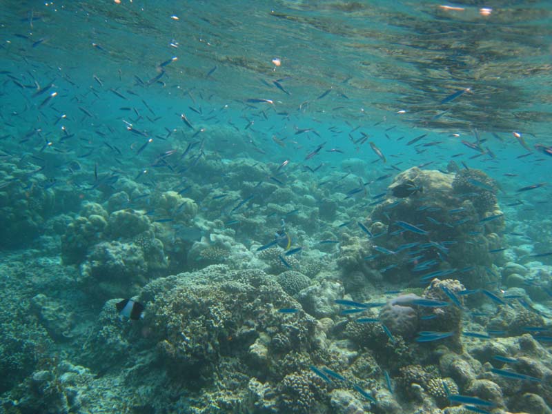
Malediven-Fihalhohi-0207-Heringe
Heringe 6cm - Die Silbersprottenart ist der bedeutendste Rifffisch und Nahrungsquelle vieler Riffräuber


wie oben

Zurück Home Weiter